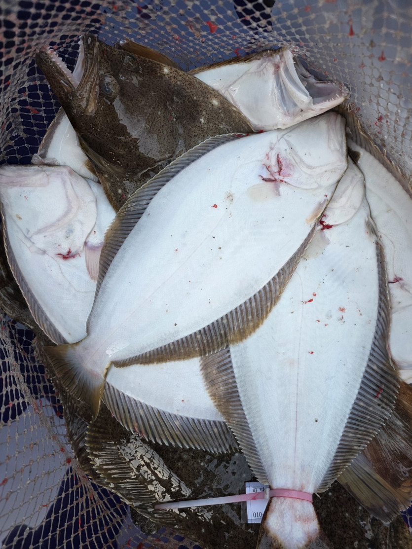
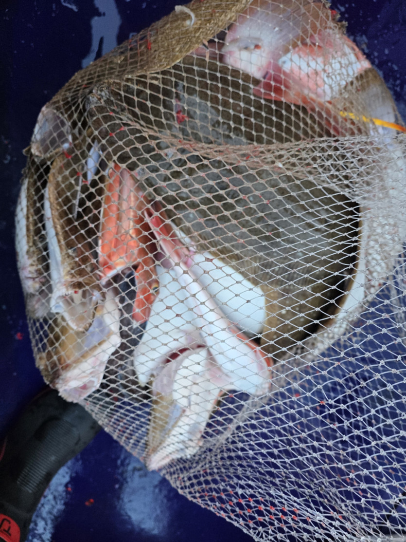
2025.11.22 마검포 바다사랑호 다운샷 조황입니다. 작성자 정보 바다사랑호 작성 작성일 2025.11.22 19:20 컨텐츠 정보 543 조회 목록 본문 2025.11.22 마검포 바다사랑호 다운샷 조황입니다.총 70~80장 정도 나왓메요. 다들 고생하셧습니다. 관련자료 다음 2025.11.06 바다사랑호 갑오징어 조황 사진입니다. 작성일 2025.11.06 22:15 댓글 0 등록된 댓글이 없습니다. 로그인한 회원만 댓글 등록이 가능합니다. 목록